Poštovani,
svakodnevno se vraćam sa zaobilaznice, bilo je sličnih tužibaba no niste odgovorili na konkretna pitanja građana kao i neke nelogičnosti:

Problem:
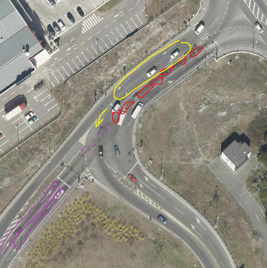
Vraćam se sa zaobilaznice iz smjera Opatije na čvor Škurinje.
Crveno je na prvom semaforu i na drugom ispred.
Ispred nas je kolona i ako ne kršimo zakon da blokiramo raskrižje ne bi pomaknuli niti 1 vozilo. Taman se tako kolona pomakne za 1-2 vozila,tek tada ide zeleno na slj semaforu i odmah crveno na stražnjem semaforu.
Vaš odgovor da se mora upaliti crveno na stražnjem semaforu radi vozila iz smjera Drenove koja su skrenula desno nije opravdan jer su ionako blokirana u Osječkoj prema 1. slici plavom bojom crvenim vozilima koji idu ravno.
Problem jest što se previše brzo i bez razloga pali crveno na stražnjem semaforu.
Može li se izvršiti korekcija, reprogramiranje semafora, uvjeren sam da jdleatnici rijeka prometa imaju alat i znanje za reprogramiranje.
Tu se nalaze i senzori na stražnjem semaforu, čak na dva mjesta, mogu li se aktivirati stražnji senzori, pa recimo kada su auti na stražnjim senzorima produžiti trajanje zelenog a kada nema vozila skratiti trajanje?
Nije li to poanta pametnih semafora?

Neki rade na ovaj način, ali ovi sporni ne.
Ne kužim što se promijenilo, da li više ne radi osoba koja je programirala semafore na senzore u Rijeka prometu?

Više građana vam se žalilo na ovo, uporno ste tvrdili da su senzori u funkciji, pa je problem eskalirao kada vam je neki građanin snimio raskršće u 4 doba dana i u sekundu je unatoč senzorima i potpuno različitim opterećenjima u milisekundu isto radio program semafora.
Makar da promijenite kada ljudi idu na posao dolje i vraćaju se gore ako ne znate programirati semafore na senzore ili je netko na bolovanju tko to radi?

Isto tako, raskršće Osječka-Drenova, kada se skreće desno prema Drenovi, tamo je strelica koja se ugasi kada se upali zeleno iz smjera Vrtnog centra.
Vaš odgovor jest da se vrtnom centru pali jer tamo nema senzora nije točan jer je tamo montirana kamera na smjeru vrtni centar i upali se crvena lampica na kameri kada dođete ispred semafora, znači da je kamera u funkciji.
Ali neovisno o toj kameri tamo se pali zeleno iako vozila jako rijetko dolaze i ne svaki krug pa se bespotrebno kolona stvara u Osječkoj čekajući strelicu (tj crveno Vrtni) prema Drenovi.
Puno novaca se potrošila za to raskrižje i nove semafore koji su zamijenili stare semafore a ništa konkretno, bolje nismo dobili, dapače gužve su jednake ako ne i gore.
Možete li i ovdje reprogramirati raskršće po senzorima, da se tamo pali zeleno po kameri?

Ne kužim zašto ste izjavili “da su i stručnjaci rijeka prometa uvidjeli na taj problem” kada kasnije niste rekli da ćete to i promijeniti ili išta učiniti po tom pitanju?
Možete li izvršiti korekcije na zadovoljstvo građana?

I sada čitam o onoj skupoj kameri staroj 18 godina, kako na stranici NN ima stotine natječaja Rijeka prometa a nisam uspio naći podatak, koliko ste platili i koja je bila kamera ta 2014?

likvi / 21.02.2020.

Poštovani,
vjerujemo da Vam je poznato kako je Rijeka promet d.d. u nekoliko navrata odgovarao na tužibabe s identičnom temom.
Za vrijeme vršnih sati, odnosno u vremenu od 7.30 do 8.30 te od 15 do 16.30 sati, vozilima su jako opterećeni svi privozi raskrižja s velikim brojem tzv. „lijevih skretača“ koji blokiraju sve ostale pravce. U takvim situacijama nikakva semaforska regulacija ne može zadovoljiti potrebe protočnosti prometa. Situacija je posve drugačija izvan razdoblja vršnih sati. Semaforski programi imaju jasno definiran slijed izmjena faza crvenog i zelenog svjetla, uzimajući u obzir prosječna prometna opterećenja, međutim i to ima svoje granice te kada prometno opterećenje iz svih smjerova preraste iznad određene granice, iscrpljene su sve mogućnosti semaforske regulacije te se na svim pravcima stvaraju kolone i zastoji.
U Rijeka prometu ističu da su oprema i detektori prometa u punoj funkciji. Način rada ovog semafora uopće nije mijenjan već duže vrijeme, već je mijenjana samo optika, odnosno lanterne iz smjera obilaznice, kako bi bila manje zbunjujuća. Naime, u početku, točnije 2007. godine, bila je postavljena direkciona optika za smjer lijevo i smjer desno, sa dodatnim strelicama za lijevo i desno. Međutim, u jednom trenutku signalnog programa događalo se da trostruka direkciona lanterna za smjer lijevo pokazuje crveno svjetlo, odnosno crvenu strelicu, a dodatna strelica za smjer lijevo pokazuje zelenu strelicu, što je bilo zbunjujuće za vozače. Zbog toga su direkcione optike zamijenjene punom optikom, ali se u vremenu trajanja zelenog svjetla za svaki pojedini pravac kretanja apsolutno ništa nije promijenilo.
Vrijeme trajanja zelenog svjetla u svakom semaforskom programu je gotovo identična zato što na svim glavnim privozima uvijek ima vozila, pa upravljački uređaj vrijeme trajanja zelenog svjetla drži do maksimuma.
Zaključno, semafori, bez obzira kako bili programirani, nisu rješenje problema Čvora Škurinje, već je rješenje rekonstrukcija.
U više navrata u Rijeka prometu istaknuto je kako je jedino pravo rješenje za povećanje protočnosti prometa na ovom vrlo opterećenom prometnom pravcu, demontaža semaforske opreme, kako bi se na tom mjestu mogla izgraditi dva kružna raskrižja koja bi funkcionirala u paru; jedno na spoju s Osječkom ulicom i drugo na raskrižju gdje se sijeku prilazi prema obilaznici, tim više što to utječe i na promet od kružnog raskrižja Škurinje do spoja na Riječku obilaznicu. Idejno rješenje tog para kružnih raskrižja koje je izradio Rijeka promet predstavljeno je Hrvatskim cestama još prije više od tri godine, s prijedlogom da se što prije izgrade, no do danas od strane nadležnih nije donesena nikakva odluka u tom smislu.
Naime, kružna raskrižja prikladnih dimenzija, unatoč činjenici da smanjuju sigurnost, bitno povećavaju protočnost prometa na ovoj točki, osobito u slučaju gustih prometnih tokova. U prilog tome ide i činjenica da će uskoro početi izgradnja i ceste D-403 koja će se spojiti u neposrednoj blizini Čvora Škurinje, što će dodatno povećati promet. Rijeka promet će zato ponovno predložiti da se na temu rekonstrukcije predmetnog spoja na obilaznicu sastanu svi sudionici koji uređuju promet na toj lokaciji, točnije Hrvatske ceste, Grad Rijeka, Autocesta Rijeka- Zagreb i MUP te da se u tom pogledu što hitnije donese konkretna odluka.
S poštovanjem, Gradska uprava.

Odgovorite

Kalendar događanja